当前位置: 网站首页 > 政府信息公开 > 市政府办 > 国土空间详细规划公开(城镇开发边界内)
索引号: 123416007373246591/202502-00070 组配分类: 国土空间详细规划公开(城镇开发边界内)
发布机构: 亳州市自然资源和规划局(亳州市林业局) 主题分类:
有效性: 有效 关键词:
名称: 关于2025-002地块控规指标的公示 文号:
发文日期: 2025-02-19 发布日期: 2025-02-19
索引号: 123416007373246591/202502-00070
组配分类: 国土空间详细规划公开(城镇开发边界内)
发布机构: 亳州市自然资源和规划局(亳州市林业局)
主题分类:
有效性: 有效
关键词:
名称: 关于2025-002地块控规指标的公示
文号:
发文日期: 2025-02-19
发布日期: 2025-02-19
关于2025-002地块控规指标的公示
发布时间:2025-02-19 16:26 信息来源:市自然资源和规划局 浏览次数: 字体:[ ]

一、地块基本情况

 


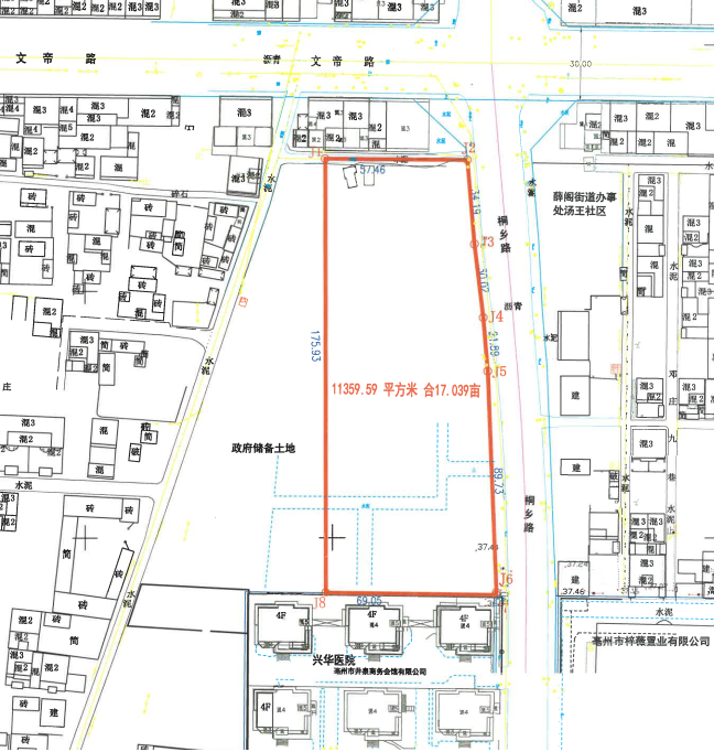
该地块位于桐乡路以西、文帝路以南,用地面积11359.6平方米(合17.039亩)。地块四至范围位于《亳州市国土空间总体规划(2021-2035年)》中心城区城镇开发边界确定的城镇建设用地内。

二、地块控规主要指标

原指标情况:

用地性质为商业用地,容积率不大于1.5,建筑密度不大于25%,绿地率不小于20%。

拟调整情况:

用地性质为商业用地,容积率不大于1.5,建筑密度不大于40%,绿地率不小于20%。

公示期自2025年2月19日至2025年3月20日,如有意见请于2025年3月20日前来电或书面意见至亳州市城乡规划设计院,并注明联系人真实姓名、电话、地址。

我局将在公示期满后综合分析各方意见或建议,充分考虑利害关系人意愿,通过采取听证会、座谈会等形式,进一步听取利害关系人的意见。若无意见或建议我局将按照有关程序依法报批。

电话:5122723

地址:亳州市城乡规划设计院二楼规划技术服务科(光明路与三曹路交口东北角)。